Hurricane Melissa nears Jamaica. Cat bond, parametrics can provide valuable recovery finance

61 views 6:28 am 0 Comments October 28, 2025

This content is copyright to www.artemis.bm and should not appear anywhere else, or an infringement has occurred.

As major hurricane Melissa bears down on the Caribbean island nation of Jamaica, the significant intensity of the storm could activate the country’s parametric catastrophe bond and insurance protection triggers which, should they pay out, will provide a valuable source of financial liquidity and recovery funding at a particularly challenging time for the country.

hurricane-melissa-jamaica-cat-bond-parametricsRead our latest updates further down this article.

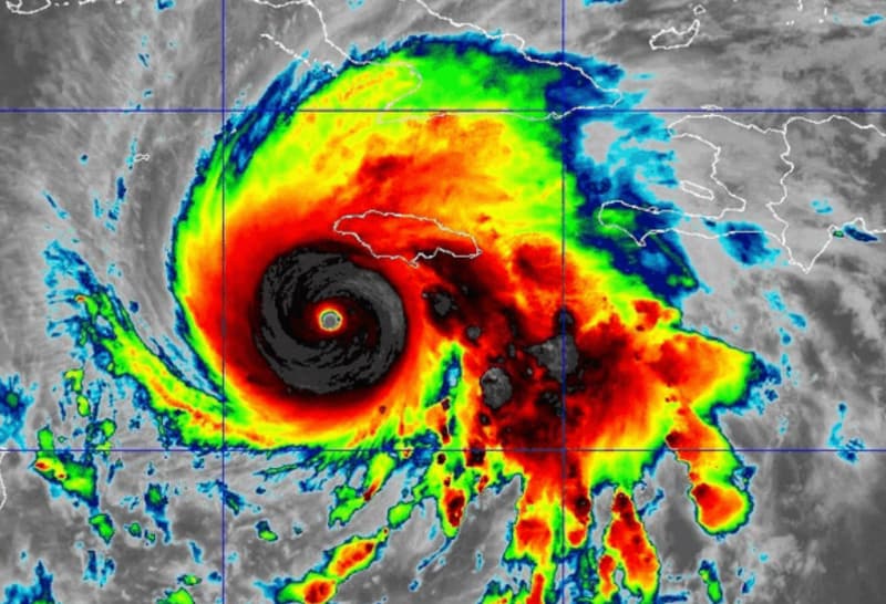
Hurricane Melissa remains a very major storm and is set to potentially become the strongest ever to hit Jamaica.

At the latest forecast update from the National Hurricane Center, Melissa had sustained winds estimated around 175 mph, with gusts well over 200 mph and a minimum central pressure last observed as low as 901mb by hurricane hunter aircraft.

While our focus is naturally on the risk transfer arrangements Jamaica has prudently put in place given our audience, with the severity of this situation all thoughts must be with the people of Jamaica, who face a historic storm with impacts that could be devastating for areas that receive the brunt of hurricane Melissa’s winds, rains and storm surge.

While the areas around and to the east of landfall will receive the most damaging winds and storm surge, the entirety of Jamaica will be heavily impacted by damaging winds and dangerous leels of rainfall.

There is not a great deal to add since yesterday’s updates. Given the intensity of hurricane Melissa it still appears that Jamaica’s $150 million IBRD CAR Jamaica 2024 parametric World Bank catastrophe bond could be triggered and a payout come due to the nation to aid in its recovery from this disaster.

The cat bond sits at the top of a tower of layered disaster risk financing and parametric insurance arrangements that Jamaica’s government has put in place.

The layers beneath the cat bond, which comprise of Jamaica’s natural disaster fund, contingent lines of credit and a range of private risk transfer and parametric insurance from the CCRIF and others, would be expected to be triggered and payout first.

The catastrophe bond was always designed to protect the residual risk at the top of Jamaica’s disaster risk financing tower of arrangements (this article shows an example of the country’s layered approach to disaster risk transfer and financing).

The latest forecast data from the NHC continues to show a major hurricane Melissa landfall with sustained winds that could cause extreme damage, and given the current estimated low pressure of the storm this scenario suggests the minimum central pressure may be at levels low enough to trigger the World Bank facilitated catastrophe bond, when it passes through one of the parametric boxes and this may activate a payout.

The NHC forecast advisory shows Melissa’s wind speeds slowing slightly as it gets closest to landfall, but potentially still being in the region of 140 mph and the crossing the country with sustained winds of 100 mph or higher.

As we’ve explained a number of times, it is the central pressure and location of a hurricane that matters for the cat bond, with Jamaica and the surrounding sea broken into parametric boxes for the IBRD cat bond’s trigger (more details on that can be seen in one of our articles related to 2024’s hurricane Beryl).

The lowest payout threshold possible is for a 30% triggering of the cat bond notes $150 million of principal. While a more intense storm could cause a full payout just for entering a single box. But, the parametric boxes can also be additive, in that if a storm passes through more than one of them the payout for each can be added together, under certain circumstances.

The current forecast path for Melissa would take it first into the outer parametric boxes first which require a central pressure of 920mb or lower to trigger the cat bond. Parametric boxes closer to shore require a central pressure of 940mb or 960mb and lower, depending on which box Melissa passes through, after which 11 or 12 seem most likely at this time. From previous information we had, around the time of hurricane Beryl in 2024, you can see the box numbers here and box pressures here.

On that basis and given the latest forecast this morning, with just a number of hours now until landfall, there remains a strong possibility that Jamaica’s cat bond coverage is activated, with the parametric insurance likely already triggered at that stage.

As we understand it, the parametric trigger for the cat bond requires the “b-deck” track data from the Automated Tropical Cyclone Forecast (ATCF) System to be used for the calculation agent process. That data can become available relatively quickly after a storm in some cases, but that is the input required to truly understand whether a trigger event has occurred.

However, the NHC’s landfall pressure report at the time that hurricane Melissa reaches Jamaica’s coast and landfall has occurred should give a reasonable indication whether some kind of payout is likely, or not.

Over night, hurricane Melissa travelled further west than the NHC track but has since wobbled back east again and remains roughly on a similar track towards Jamaica as yesterday, perhaps slightly further west which could take the worst impacts further away from some major population centres.

Between 9 and 13 feet of storm surge is still anticipated along with rainfall in the tens of inches, while the strongest winds could begin to be damaging for Jamaica within the next few hours and given the still slow pace of the hurricane, Melissa remains an extremely dangerous and historic storm.

For Jamaica, the hope now is that Melissa weakens more than the forecasts suggest as it nears the island and begins to interact more directly with the landmass, as any reduction in the strength of the storm will help to reduce the levels of damage and disruption experienced.

Update – Oct 28th, 12:00pm GMT: Major hurricane Melissa remains an incredibly dangerous storm as it tracks ever-closer to Jamaica.

The latest update from the US National Hurricane Center still has maximum sustained winds cited at 175 mph with gusts well over 200 mph in the storm’s eyewall.

Hurricane Melissa’s minimum central pressure is still reported at 901mb. However a hurricane hunter aircraft is heading to the storm which could yield new data, but changes are not expected to be meaningful at this stage.

The NHC now says that little change in strength is expected before hurricane Melissa makes landfall in Jamaica, with conditions set to deteriorate rapidly over the coming hours.

Melissa’s eye is now not far off breaching the first arrangement of boxes for the IBRD catastrophe bonds parametric trigger.

At its current low pressure, of 901mb, that would be sufficient to result in a triggering event for the cat bond as the storm tracks into the boxes, unless the pressure rises or is revised upwards in the next few hours.

Of course, should Melissa’s pressure remain at levels low enough to trigger the cat bond, a calculation process will begin during which the calculation agent will assess the data aganist the parametric trigger specifics, to define what if any payout is due to Jamaica to aid in its recovery.

Update – Oct 28th, 12:30pm GMT: Specialist insurance-linked securities (ILS) investment manager Euler ILS Partners has said in an event update that, “Given the intensity of Hurricane Melissa and its projected trajectory, we currently expect at least a partial write-off of the Cat Bond.”

Update – Oct 28th, 13:00pm GMT: Hurricane hunter aircraft data from the latest passes through Melissa shows the storm even more intense, with suatained winds of 180 mph.

The minimum central pressure has been lowered further to 896mb.

That’s important, as should hurricane Melissa enter one of the parametric boxes for the IBRD cat bond that covers Jamaica with a central pressure beneath 900mb it signifies a 100% payout of the $150 million of principal would be due, again with a calculation process needing to be run to define and confirm that using the final data.

You can track this and every Atlantic hurricane season development using the tracking map and information on our dedicated page.

Hurricane Melissa nears Jamaica. Cat bond, parametrics can provide valuable recovery finance was published by: www.Artemis.bm
Our catastrophe bond deal directory
Sign up for our free weekly email newsletter here.

Leave a Reply

Your email address will not be published. Required fields are marked *