Hurricane Melissa crosses Jamaica cat bond parametric boxes at 892mb, 100% payout likely

42 views 2:45 pm 0 Comments October 28, 2025

This content is copyright to www.artemis.bm and should not appear anywhere else, or an infringement has occurred.

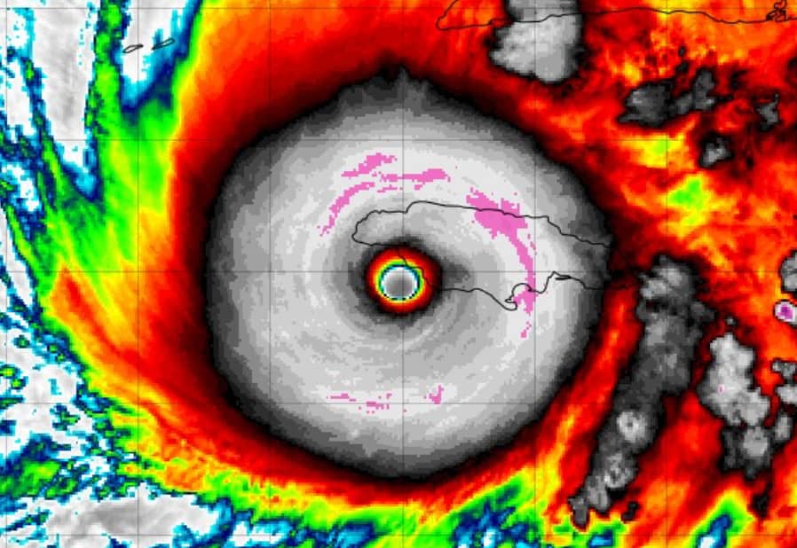
Major hurricane Melissa has intensified further to sustained winds of 185 mph and its minimum central pressure has now deepened to 892mb, which with the storm’s eye now well into the parametric boxes of Jamaica’s $150 million IBRD CAR Jamaica 2024 catastrophe bond suggests a 100% payout of principal is likely.

hurricane-melissa-jamaica-cat-bond-landfallMelissa is now close enough to Jamaica’s shoreline to say that it has passed into the parametric box arrangement for the World Bank facilitated catastrophe bond.

Landfall is anticipated very soon and for Jamaica’s population a dangerous few hours will ensue as the strongest winds rake the island in the landfall area and to its east.

At 892mb central pressure, hurricane Melissa is below the level required where any storm passing into any of the parametric boxes would trigger a total payout of the $150 million of cat bond principal.

With such an intense storm, paying out is precisely what cat bonds are designed for, to funnel capital into an affected company or region to aid in claims payment or recovery.

All the boxes, which can be seen in the diagram here, have a secondary payout factor for any storm with a sub-900mb pressure to cause a total loss to the investors.

That now seems highly likely to occur, barring any revision in the data during the calculation process.

But 8mb below that trigger is just one thing, the boxes also capture storms of different intensities at higher pressures, from 920mb and upwards, with those boxes able to be additive as well. So even if the 900mb threshold wasn’t the trigger point, there’s a strong chance the cat bond would face a total loss anyway from additive triggering across a number of boxes as hurricane Melissa crosses Jamaica.

With such a ferocious storm affecting Jamaica, all thoughts remain with the people and their safety, as well as to their recovery.

Should the cat bond payout, we hope it’s principal can be disbursed as rapidly as the terms allow, to aid in the recovery.

Update – Oct 28th, 21:00 GMT: After crossing Jamaica hurricane Melissa emerged from the northern coast still with maximum sustained winds of 145 mph and a minimum central pressure estimated as 921mb. Which means the storm crossed through multiple parametric boxes of the IBRD catastrophe bond trigger design with pressure at levels low enough to activate each, which further suggests a situation resulting in a full loss of principal even if the sub-900mb reading was revised up.

You can track this and every Atlantic hurricane season development using the tracking map and information on our dedicated page.

Hurricane Melissa crosses Jamaica cat bond parametric boxes at 892mb, 100% payout likely was published by: www.Artemis.bm
Our catastrophe bond deal directory
Sign up for our free weekly email newsletter here.

Leave a Reply

Your email address will not be published. Required fields are marked *